World
Hurricane Melissa maintains Category 5 strength as it nears Jamaica
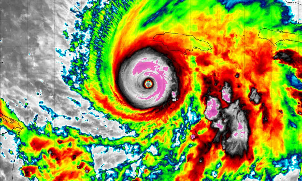
Hurricane Melissa remains a powerful Category 5 storm with maximum sustained winds of 175 mph (280 km/h) as it moves slowly northwest toward Jamaica, according to the U.S. National Hurricane Center (NHC).
As of Monday afternoon, the hurricane was centered about 140 miles (225 kilometers) southwest of Kingston, Jamaica, with a minimum central pressure of 906 millibars.
The NHC said Melissa is now turning north and is expected to reach or pass over Jamaica late tonight and on Tuesday before moving across eastern Cuba and toward the Bahamas.
Forecasters said Melissa is expected to produce catastrophic, life-threatening winds, flash flooding, and storm surge across Jamaica, where residents have been urged to remain sheltered. The hurricane’s eyewall is expected to bring destructive winds capable of total structural failure, including in higher elevations.
Hurricane warnings are in effect for Jamaica, parts of eastern Cuba, and the southeastern and central Bahamas. A tropical storm warning continues for Haiti and the Turks and Caicos Islands.
Melissa’s sustained winds remain at 175 mph, with aircraft data earlier in the day indicating that the storm’s intensity could fluctuate due to a possible eyewall replacement cycle. The NHC said any short-term weakening would not lessen the hurricane’s catastrophic potential for Jamaica, noting “there is no practical difference in Melissa making landfall at category 4 or 5 intensity.”
The NHC warned of life-threatening flash flooding and landslides across southern Haiti and the Dominican Republic through midweek, along with severe flooding and storm surge expected in eastern Cuba beginning Monday night.
The storm is forecast to gradually weaken after crossing Cuba and move near or over the Bahamas and the Turks and Caicos on Wednesday before approaching Bermuda later in the week.
-
Politics1 week agoSenate reaches deal to end record shutdown – CNN
-
Politics4 hours agoU.S. to designate Maduro-linked Cartel de los Soles as terrorist organization
-
World3 days agoU.S. begins Operation Southern Spear against “narco-terrorists” in the Western Hemisphere
-
Legal3 days agoImprovised explosive device detonates outside Las Vegas restaurant; no injuries
-
World5 days agoNationwide power outage hits Dominican Republic
-
World1 week agoDozens injured in train collision near Bratislava, Slovakia
-
Legal4 days agoWashington cold case solved after 28 years; suspect identified in 1997 murder
-
Health3 days agoWashington state reports presumptive human case of bird flu
