World
Melissa could make landfall in Jamaica as a Category 5 hurricane
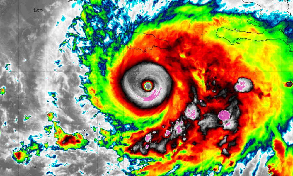
Hurricane Melissa, a powerful Category 4 storm, has resumed strengthening and could make landfall in Jamaica as a Category 5 hurricane late Monday or early Tuesday, according to the National Hurricane Center (NHC).
“Hurricane Melissa has intensified again,” the NHC said in an update at 5 p.m. ET on Sunday, adding that satellite and reconnaissance data show a small, clear eye and an increasingly organized inner core. “Melissa could make landfall as a catastrophic Category 5 hurricane.”
Melissa was packing maximum sustained winds of 145 mph (230 km/h) and moving slowly west at 5 mph. The storm was located about 115 miles south-southwest of Kingston, Jamaica. Its central pressure had dropped to 941 millibars, an indication of further strengthening.
Forecasters warned that life-threatening storm surge, destructive winds, and up to 40 inches of rain could devastate parts of Jamaica, with flash flooding and landslides expected across the island.
“Seek shelter now,” the NHC said in its key message. “Extensive infrastructural damage, long-duration power and communication outages, and isolation of communities are expected.”
Hurricane warnings are in effect for all of Jamaica and four provinces in eastern Cuba, including Guantanamo, where conditions are expected to deteriorate by Tuesday.
A tropical storm warning is also in place for Las Tunas province in Cuba, while southern Haiti remains under both tropical storm and hurricane watches.
Melissa is forecast to continue westward before turning sharply northeast toward southeastern Cuba, where another landfall is expected Tuesday night. The storm is then expected to move across the southeastern Bahamas by midweek before tracking toward the open Atlantic.
Storm surge heights could reach 9 to 13 feet along Jamaica’s southern coast and 6 to 9 feet in southeastern Cuba.
If Melissa maintains its current trajectory and intensity, it could become one of the strongest hurricanes to ever strike Jamaica directly.
-
Politics1 week agoSenate reaches deal to end record shutdown – CNN
-
Politics9 hours agoU.S. to designate Maduro-linked Cartel de los Soles as terrorist organization
-
World3 days agoU.S. begins Operation Southern Spear against “narco-terrorists” in the Western Hemisphere
-
Legal3 days agoImprovised explosive device detonates outside Las Vegas restaurant; no injuries
-
World5 days agoNationwide power outage hits Dominican Republic
-
Health7 hours agoCambodia reports fatal H5N1 bird flu case in 22-year-old man
-
World1 week agoDozens injured in train collision near Bratislava, Slovakia
-
Legal4 days agoWashington cold case solved after 28 years; suspect identified in 1997 murder
