World
Hurricane Melissa makes landfall in Jamaica, causing widespread damage
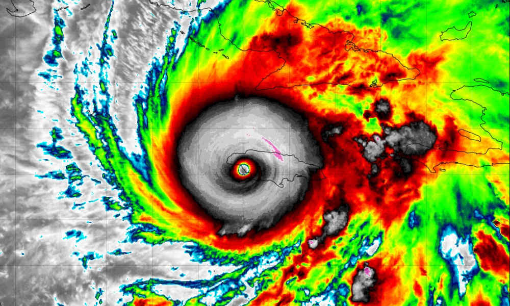
Hurricane Melissa made landfall in western Jamaica as one of the strongest hurricanes ever recorded in the Atlantic basin, leaving widespread destruction, power outages, and communication disruptions across the island, according to officials and local media reports.
The National Hurricane Center (NHC) said Melissa came ashore near 1 p.m. local time on Tuesday as a Category 5 hurricane with estimated maximum sustained winds of 185 mph and a central pressure of 892 millibars.
The NHC said the storm weakened slightly after crossing the island’s mountains but warned that catastrophic flash flooding, landslides, and destructive winds would continue through the night.
Sparse footage emerging on social media showed extensive damage and flooding across western and southern Jamaica, though the full scale of the destruction remains unclear due to widespread communication outages.
Jamaica’s power provider, JPS, said about 470,000 homes, roughly 69 percent of its customers, were without electricity. A Jamaican senator told NBC News that medical facilities in the coastal town of Black River had been destroyed.
Melissa, now moving northeast toward Cuba, is expected to bring life-threatening storm surge, flash flooding, and damaging winds to eastern Cuba later tonight before reaching the Bahamas on Wednesday and Bermuda by Thursday.
The NHC said post-storm analysis will determine where Melissa ranks among the most intense Atlantic landfalls on record.
-
Politics1 week agoSenate reaches deal to end record shutdown – CNN
-
Legal16 hours agoMichigan man JD Vance sentenced to 2 years for threatening Trump and JD Vance
-
Politics2 days agoU.S. to designate Maduro-linked Cartel de los Soles as terrorist organization
-
World5 days agoU.S. begins Operation Southern Spear against “narco-terrorists” in the Western Hemisphere
-
Health2 days agoCambodia reports fatal H5N1 bird flu case in 22-year-old man
-
Legal5 days agoImprovised explosive device detonates outside Las Vegas restaurant; no injuries
-
World7 days agoNationwide power outage hits Dominican Republic
-
Politics2 days agoEpstein survivors release PSA calling on Congress to release all files
